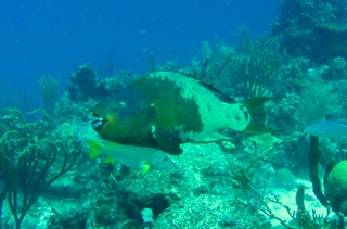
První ponor byl technicky náročnější. Byly tam dva útesy, vnitřní v hloubce 8 - 30 m a druhý vnější pak o 100 metrů dál do moře v hloubce 20 - 40m. Tam jsme plavali rovnou k vnějšímu útesu a zpátky jsme se vraceli kolem vnitřního. I přes velkou hloubku jsme vydrželi 70minut. Viděli jsme baracudy, velkého perutýna a na vnitřním útesu obrovského snappera a také dvě opravdu veliké Parrotfishe.
Druhý ponor byl pro mě jeden z nejlepších, co jsme s Pájou absolvovali. Byl to ponor u nákladního mola na sůl. V pilotech mola se skrývalo veliké množství ryb. Slunce vytvářelo neuvěřitelnou scenérii. Navíc jsme opět měli veliké štěstí a narazili jsme opět na veliké tarpony, keří odpočívali na hraně útesu. Nádherné místo.
Zítra ráno ale vytáhneme plachty a vyrazíme směr Coracao, která je odsud jen 40NM. Odtud po jednodenní přestávce budeme pokračovat na Panamu. Těžko se z Bonaire odjíždí.
Mnoho pozdravů domů posílá Petr a Pája



Žádné komentáře:
Okomentovat